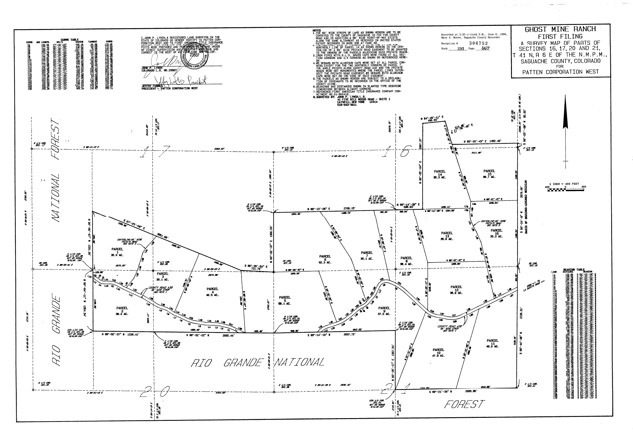
Ghost Mine Ranch Plat Maps

There were two filings for Ghost Mine Ranch.